大きなカーポートが存在感のある新築ベーシック オープン外構
プラン内容 No.2574
※データは見積当時のものです
- 見積参考価格
- 332 万円
- 工事面積
- 263m 2
- 工事種別
- 新築外構
- 地形
- 変形
- 方位
- 北
- 車の台数
- 3台以上
- 登録日
- 2024-08-18
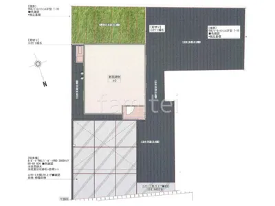
イメージパース・図面







コメント
広い駐車スペースには3台用カーポート YKKAP ジーポートProを設置し、また積雪100cmタイプを採用することで、雪が積もっても安心して車を保護します。 また機能門柱 YKKAP シンプレオポストユニット1型を設置し、シンプルなデザインで利便性の高いエントランスにしました。 お庭には人工芝を敷き、メンテナンスフリーで緑豊かな空間に仕上げました。







