0120-482-488 10:00~18:00 水・木 定休日
※データは見積当時のものです
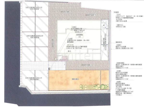
玄関アプローチ 床タイル貼り 機能門柱 駐車場ガレージ床 土間コンクリート 家庭菜園スペース 真砂土敷き 化粧ブロック囲い 花壇 目隠しフェンス塀 化粧ブロック積 1階テラス屋根 連棟 境界ブロック塀
立面図
平面図
見積
施工前