石貼り風門柱が印象的な新築シンプル オープン外構
プラン内容 No.1979
※データは見積当時のものです
- 見積参考価格
- 391 万円
- 工事面積
- 155m 2
- 工事種別
- 新築外構
- 地形
- 旗竿地
- 方位
- 西
- 車の台数
- 2台
- 登録日
- 2022-06-04
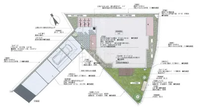
イメージパース・図面






コメント
門柱のタイルは東洋工業 ロックパイルズNX。石貼り風の凸凹した風合いが自然な印象を醸し出します。お庭には人工芝を敷き、一年中青々とした芝生を楽しむ事が出来ます。人工木ウッドデッキ LIXIL 樹ら楽ステージで憩いの空間も。目隠しフェンス塀 F&F マイティウッドベーシックでお庭のプライバシーも確保しています。






