植栽がさわやかな新築シンプル オープン外構
プラン内容 No.1597
※データは見積当時のものです
- 見積参考価格
- 184 万円
- 工事面積
- 48m 2
- 工事種別
- 新築外構
- 方位
- 南東
- 登録日
- 2023-03-25
イメージパース・図面






コメント
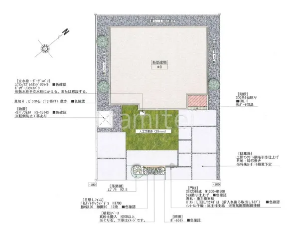
大判タイル、タカショー セラレバンテを使用した門柱とロックガーデンや周りの植栽がマッチし、自然を感じる門まわり。門柱裏の人工芝もポイントです。アプローチには土間コンクリートを採用して、駐車場と一体化させつつシンプルにまとめました。
※データは見積当時のものです






大判タイル、タカショー セラレバンテを使用した門柱とロックガーデンや周りの植栽がマッチし、自然を感じる門まわり。門柱裏の人工芝もポイントです。アプローチには土間コンクリートを採用して、駐車場と一体化させつつシンプルにまとめました。