お気に入り
メニュー
0120-482-488
10:00~18:00 水・木 定休日
お問い合せ
単価一覧
お気に入り
ファミリー庭園とは
施工例
プラン事例
お客様の声
店舗一覧
工事の流れ
プラン詳細
プラン内容
No.1297
※データは見積当時のものです
見積参考価格
117
万円
工事面積
162m
2
工事種別
新築外構
地形
角地
車の台数
1台
登録日
2015-04-04
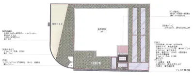
イメージパース・図面
1/5
セミクローズ外構
2/5
3/5
4/5
5/5
平面図 表札施主支給
このプランの分類
セミクローズ
ベーシック
このプランについて問い合わせる