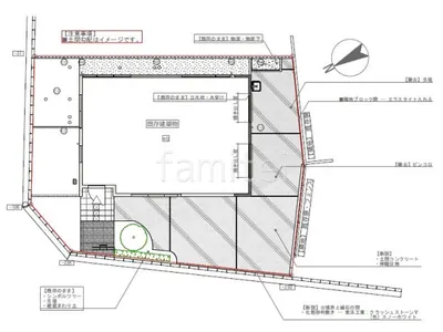
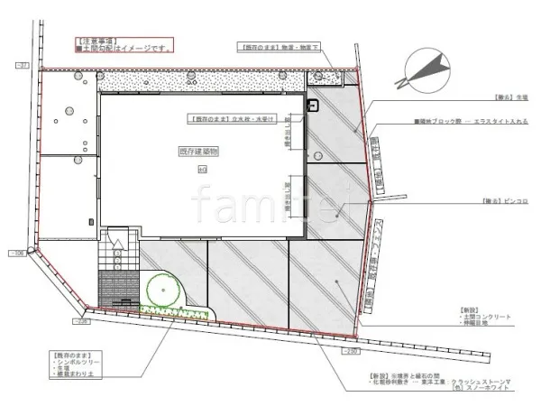
芝や砂利を土間コンクリートにやり変えた外構リフォーム
プラン内容 No.2631
※データは見積当時のものです
- 見積参考価格
- 90 万円
- 工事種別
- リフォーム外構
- 登録日
- 2024-09-02
イメージパース・図面





コメント
お庭の砂利や芝生、生垣を撤去し、全面をコンクリート仕上げにすることで、水はけが良く、見た目もすっきりとしたリフォーム工事を施しました。 土間コンクリート仕上げは雑草対策としても効果的で、シンプルな印象を与えるデザインに仕上げました。
※データは見積当時のものです





お庭の砂利や芝生、生垣を撤去し、全面をコンクリート仕上げにすることで、水はけが良く、見た目もすっきりとしたリフォーム工事を施しました。 土間コンクリート仕上げは雑草対策としても効果的で、シンプルな印象を与えるデザインに仕上げました。